51 yıllık gizem çözülüyor! Düşen Bursa uçağının enkazına ait yeni izler
51 yıllık gizem çözülüyor! Düşen Bursa uçağının enkazına ait yeni izler
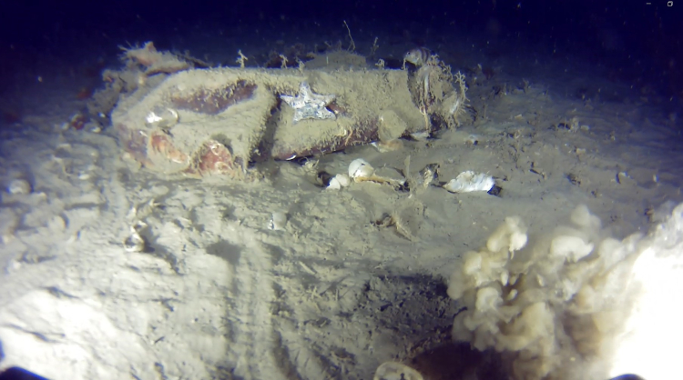
30 Ocak 1975’te Marmara Denizi’ne düşen ve 42 kişinin hayatını kaybettiği THY’ye ait “Bursa” adlı uçağın enkazına ait olabileceği değerlendirilen yeni metal parçalar tespit edildi. Gönüllü ekiplerin gerçekleştirdiği 5’inci dalışta dikkat çeken görüntüler kaydedildi.
Haber Giriş Tarihi: 24.02.2026 15:15
Haber Güncellenme Tarihi: 24.02.2026 15:19
Kaynak:
İHA
30 Ocak 1975’te Marmara Denizi’ne düşen ve 42 kişinin yaşamını yitirdiği Türk Hava Yolları’na ait “Bursa” isimli F-28 tipi yolcu uçağının enkazını arama çalışmaları yeniden hız kazandı.
Dönemin teknik imkanlarının yetersizliği nedeniyle kazanın ardından yapılan çalışmalarda uçağın ana enkaz bütünlüğüne ulaşılamamış, aramalar sınırlı kalmıştı. Aradan geçen 51 yıla rağmen kazanın izleri silinmezken, gönüllü ekipler uçağın izini sürmek için yeniden harekete geçti.
5’İNCİ DALIŞTA YENİ BULGULAR
Sosyal medya üzerinden yürüttüğü araştırmalarla bilinen Nedim Kuru ve ekibi, Büyükçekmece ile Ambarlı açıklarında 5’inci kez dalış gerçekleştirdi.
Yaklaşık 7 saat süren çalışmalarda su altı görüntüleme robotu ve sonar cihazları kullanılarak deniz tabanı detaylı biçimde tarandı.
Yapılan incelemelerde, uçağa ait olabileceği değerlendirilen alüminyum nitelikli metal parçalar tespit edildi. Söz konusu parçalar su altı kameralarıyla görüntülenerek kayıt altına alındı.
TEKNİK ANALİZ SÜRECİ BAŞLIYOR
Elde edilen görüntülerin teknik inceleme sürecine alınacağı belirtildi. Enkaz sahasının detaylı şekilde incelendiğini ifade eden ekip, parçaların gerçekten THY’ye ait “Bursa” uçağına ait olup olmadığının yapılacak analizler sonucunda netlik kazanacağını açıkladı.
Çalışmaların, deniz tabanında olası enkaz bütünlüğüne ulaşma hedefiyle sürdürüleceği kaydedildi.
ANITSAL ALAN İÇİN RESMİ BAŞVURU
Öte yandan, kazada hayatını kaybeden 42 kişinin anısını yaşatmak amacıyla deniz içerisinde sembolik bir anıt alanı oluşturulması için İstanbul Valiliği’ne resmi başvuruda bulunulduğu öğrenildi.
Yarım asrı aşan bu trajedinin izlerini ortaya çıkarmayı amaçlayan çalışmalar, hem kayıpların yakınları hem de havacılık tarihi açısından büyük önem taşıyor.
Sizlere daha iyi hizmet sunabilmek adına sitemizde çerez konumlandırmaktayız. Kişisel verileriniz, KVKK ve GDPR
kapsamında toplanıp işlenir. Sitemizi kullanarak, çerezleri kullanmamızı kabul etmiş olacaksınız.
En son gelişmelerden anında haberdar olmak için 'İZİN VER' butonuna tıklayınız.
51 yıllık gizem çözülüyor! Düşen Bursa uçağının enkazına ait yeni izler
30 Ocak 1975’te Marmara Denizi’ne düşen ve 42 kişinin hayatını kaybettiği THY’ye ait “Bursa” adlı uçağın enkazına ait olabileceği değerlendirilen yeni metal parçalar tespit edildi. Gönüllü ekiplerin gerçekleştirdiği 5’inci dalışta dikkat çeken görüntüler kaydedildi.
30 Ocak 1975’te Marmara Denizi’ne düşen ve 42 kişinin yaşamını yitirdiği Türk Hava Yolları’na ait “Bursa” isimli F-28 tipi yolcu uçağının enkazını arama çalışmaları yeniden hız kazandı.
Dönemin teknik imkanlarının yetersizliği nedeniyle kazanın ardından yapılan çalışmalarda uçağın ana enkaz bütünlüğüne ulaşılamamış, aramalar sınırlı kalmıştı. Aradan geçen 51 yıla rağmen kazanın izleri silinmezken, gönüllü ekipler uçağın izini sürmek için yeniden harekete geçti.
5’İNCİ DALIŞTA YENİ BULGULAR
Sosyal medya üzerinden yürüttüğü araştırmalarla bilinen Nedim Kuru ve ekibi, Büyükçekmece ile Ambarlı açıklarında 5’inci kez dalış gerçekleştirdi.
Yaklaşık 7 saat süren çalışmalarda su altı görüntüleme robotu ve sonar cihazları kullanılarak deniz tabanı detaylı biçimde tarandı.
Yapılan incelemelerde, uçağa ait olabileceği değerlendirilen alüminyum nitelikli metal parçalar tespit edildi. Söz konusu parçalar su altı kameralarıyla görüntülenerek kayıt altına alındı.
TEKNİK ANALİZ SÜRECİ BAŞLIYOR
Elde edilen görüntülerin teknik inceleme sürecine alınacağı belirtildi. Enkaz sahasının detaylı şekilde incelendiğini ifade eden ekip, parçaların gerçekten THY’ye ait “Bursa” uçağına ait olup olmadığının yapılacak analizler sonucunda netlik kazanacağını açıkladı.
Çalışmaların, deniz tabanında olası enkaz bütünlüğüne ulaşma hedefiyle sürdürüleceği kaydedildi.
ANITSAL ALAN İÇİN RESMİ BAŞVURU
Öte yandan, kazada hayatını kaybeden 42 kişinin anısını yaşatmak amacıyla deniz içerisinde sembolik bir anıt alanı oluşturulması için İstanbul Valiliği’ne resmi başvuruda bulunulduğu öğrenildi.
Yarım asrı aşan bu trajedinin izlerini ortaya çıkarmayı amaçlayan çalışmalar, hem kayıpların yakınları hem de havacılık tarihi açısından büyük önem taşıyor.
Kaynak: İHA
Son Haberler
Güney Amerika’da dev altın rezervi keşfi: Sektör standartlarını aştı
Tapu sahipleri için kritik tarih: Emlak vergisinde taksit dönemi geldi
Mekaş Yemek’ten stratejik karar: Üretimde dijital dönüşüm başlıyor